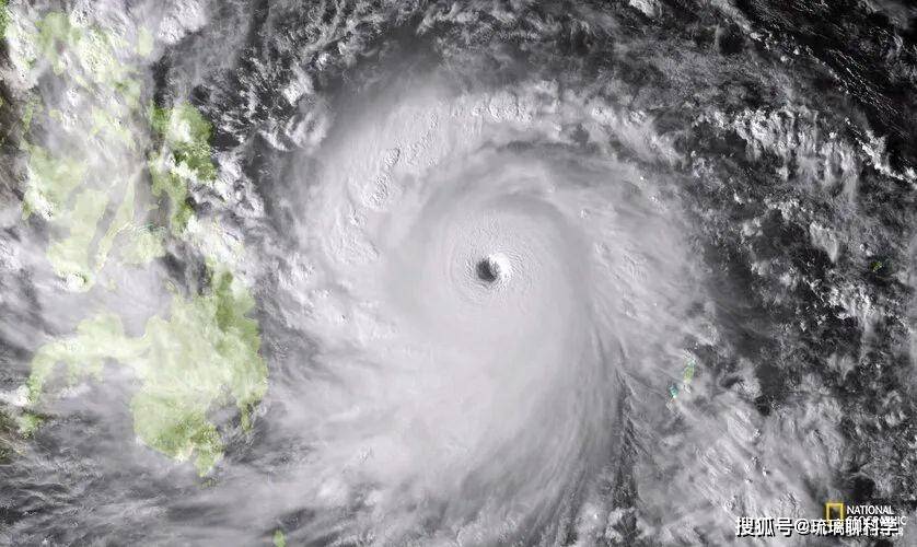
首先,为了理解为何台风在逼近中国时大多会拐弯直奔日本,我们需要了解台风形成的原因和台风路径选择的因素。台风是由热带海洋中的暖湿空气和相对较冷的空气相互作用形成的。当温暖、湿润的空气上升并旋转时,产生了台风的旋转性质。然而,为什么台风路径总是远离中国大陆并靠近日本,这个问题没有一个完全确切的答案,但我们可以从多个角度探讨一些相关因素。

一种可能的解释是地理位置和地形的影响。中国地处亚洲大陆的东南沿海,其东部、南部和东南部大面积临近海洋。相比之下,日本是一个由海洋环绕的岛屿国家。海洋对于台风的生成和发展具有巨大的热容量,可以提供足够的热量和湿度,有利于台风的形成和维持。而中国大陆的山脉、高地以及冷的内陆气候条件相对不利于台风的形成和发展。因此,台风会倾向于选择距离海洋较近、气候条件更有利的路径,从而拐弯直奔日本。

另一个影响台风路径选择的因素是气候环流系统。中国东南沿海处于亚洲季风和副热带高压的影响下,这些气候系统会对台风的路径产生影响。据观测和研究,副热带高压在夏季时常常位于中国大陆的东部,使得台风在逼近中国时受到来自西北方向的气流的影响,从而被迫转向东北方向,拐弯直奔日本。

此外,海洋温度和海洋表面风场也对台风路径选择起到重要作用。研究发现,台风通常会选择海洋表面温度较高的区域,并寻找向着海洋表面风场的路径。这是因为热海表面能提供更多的能量和湿度,有助于台风的发展和维持。根据数据和模拟研究,中国东南沿海附近的海洋温度较高,且受到西北季风的影响,形成了有利于台风发展的条件。因此,当台风逼近中国时,其路径往往会受到这些因素的影响而向着热海表面和有利的风场方向转向,从而偏向日本。

此外,台风的路径选择还受到气象系统的干扰和变动的影响。例如,高层气流对于台风路径选择具有重要作用。偶尔出现的风切变、冷空气侵入以及其他气象系统的影响可能使台风改变路径,不再继续向日本方向移动。
虽然我们可以从多个因素来解释为何台风每次吹向中国,大多拐弯直奔日本,但是否存在某种“控风术”是非常有争议的。事实上,台风路径的选择是由多种复杂的自然因素所决定,包括地理位置、地形、气候环流系统、海洋温度和表面风场等。这些因素相互作用和变动导致了台风的路径选择并不是完全可预测的。

需要强调的是,台风路径选择的每一次真实发生都是作为多种因素综合作用的结果。因此,在每一次台风逼近中国并拐弯直奔日本时,我们不能简单地将其解释为“控风术”或者纯粹的巧合。相反,我们应该从更全面、科学的角度去理解并解释这一现象。
从历史和数据统计分析的角度来看,确实有相对较高比例的台风选择向日本移动。这可能是由于中国与日本相邻,经常面临台风的威胁,并没有被大范围的陆地阻挡。相比之下,其他地区如菲律宾、韩国、越南等的陆地障碍更多,台风路径选择更加多样化。因此,台风远离中国并选择拐弯直奔日本的情况相对较为常见。

另一方面,每一次台风发生都是独特的,受到瞬时的气象条件和环境因素影响。有时候,一些台风确实会直接或间接地影响中国大陆,而不是转向日本。这种变异性和不确定性使得台风路径的预测和解释变得更加复杂。

总结来说,为何每次台风逼近中国时大多拐弯直奔日本,尽管存在多种解释,但无法简单地归结为“控风术”或巧合。台风路径选择是由多种因素相互作用的结果,包括地理位置、地形、气候环流、海洋条件和气象系统的干扰。尽管我们可以从多个角度解释这一现象,但每一次台风的路径选择仍然是一个相当复杂和多变的问题,需要进一步的研究和探索。